Page ALMANACH 2017
Page home des jardins de papounet poésie jardinage recettes de cuisine
Page ALMANACH JUIN 2017
Page ALMANACH JUIN 2017
Page ALMANACH JUIN 2017
Page ALMANACH JUIN 2017
Page ALMANACH JUIN 2017
Page ALMANACH JUIN 2017
Page ALMANACH JUIN 2017
Page ALMANACH JUIN 2017
Page ALMANACH JUIN 2017
Page ALMANACH JUIN 2017
Page ALMANACH JUIN 2017
Page ALMANACH JUIN 2017
Page ALMANACH JUIN 2017

Carnets pratiques

Les travaux au jardin fleurs et arbustes

CARTE ZONES


Semez la lunaire


La lunaire (Lunaria annua) donne, en fin de saison, des "siliques", fruits arrondis et aplatis, assez peu décoratifs au jardin ; mais débarassés des membranes extérieures, ils font merveilles en bouquet sec. C'est la fameuse monnaie du pape. Nous vous conseillons de planter la lunaire dans les massifs pour sa floraison printanière d'un violet intense, en association avec des tulipes tardives, ou au pied d'un grand mur qu'elle garnira rapidement. Semez les graines de cette bisannuelle dans une plate-bande à l'ombre, spéciale "pépinière", destinée à la culture de vos plants à repiquer. Affinez la terre, recouvrez d'une mince couche de sable et de terreau tamisé. Arrosez. Les graines germent en deux à trois semaines. Les plants, éventuellement éclaircis, seront à repiquer en place à l'automne au soleil ou à mi-ombre.


Semez les roses trémières


Voilà une fleur qu'on a plaisir à semer soi-même. Les graines, grosses et plates , sont faciles à manipuler. La reprise est en générale meilleure quand on fait ses propres plants, car la racine pivotante se dessèche facilement si elle est transplantée.

Autant d'arguments pour vous procurer quelques sachets de semences ou de récolter sur des plantes dont vous avez aimé la floraison chez des amis ou connaissances...

Vous choissirez les variétés à fleurs doubles pour l'opulence d'une haute hampe florale en gros pompons denses ou des variétés à fleurs simples pour leur charme délicats et parce que les fleurs qui s'épanouissent les une après les autres assurent une très longue période de floraison? Ce semis peut être effectué en pleine terre, en ligne, en espaçant les graines de quelques centimètres.

La terre du jardin doit être émiettée et bien tassée. Brumisez largement le semis. Les graines de rose trémière germent en 10-12 jours. Dès que les petits plants auront 4 feuilles vous pourrez les repiquez à 15-20cm les uns des autres. Ils seront mis en place définitive à l'automne avec un grand écartement, 0,60 à 1m, pour un bon développement de leur grande rosette de feuilles. Prévoyez alors un coin ensoleillé et bien drainé.


Marcottez la passiflore


La passiflore a des tiges sarmenteuses, ligneuses et souples qu'il est facile de manipuler pour un marcottage en "serpenteau" inclinez une tige vers le sol et enterrez-la en plusieurs points, laissez dépasser l'extrémité attachée à un petit tuteur. Pour favoriser le départ des racines, incisez légèrement l'écorce de la tige et saupoudrez cette partie avec une poudre d'hormone de croissance, en chaque point enterré. Maintenez le sol frais durant l'été. Les racines seront formées en automne.

Juin au jardin


Favorisez la floraison du solanum


Le Solanum crispum est sans doute le moins frileux des solanums. Installé dans un coin abrité du jardin, le long d'un mur bien exposé, ses tiges sarmenteuses (voir ce mot au lexique) grandissent rapidement, maintenues par quelques fils horizontaux discrets. Elles peuvent ainsi se faufiler entre les mailles d'un grillage ou se mêler aux branches d'arbustes voisins (rosier, alélia...).

Sa floraison estivale, mauve ou blanche, exige qu'il soit planté en plein soleil, et dans une terre drainée que vous maintiendrez fraîche et riche. Arrosez une ou deux fois par semaine et apportez un engrais liquide deux fois par mois. Un engrais pour tomates convient parfaitement car les plantes appartiennent à la même famille.

EN BREF...

Rechaussez les crocus

Les feuilles des crocus sont desséchées, leur cycle est terminé. Les petits bulbes ont déjà emmagasiné assez de réserves pour leur prochaine floraison et rin ne devrait signaler leur présence au milieu du gazon. Pourtant, il est fréquent d'apercevoir les bulbes affleurer, au risque d'être piétinés ou grillés par le soleil. la terre s'est tassée tout autour ou la pluie a lessivé la couche qui les recouvrait. Pour leur confort, prévoyez un mélange à parts égales de terreau et de sable. Recouvrez-les d'au moins 2cm de ce mélange. Tassez, avec la semelle, si nécessaire, pour une bonne adhérence.

Surveillez les roses trémières.

Elles sont belles, les hautes tiges fleuries des roses trémières... Mais quelle sensi-bilité à la rouille qui marque le revers des feuilles de vilaines pustules orangées et aux gastéropodes qui les dévorent ! Pour conserver quelques feuilles le long de la tige, traitez préventivement, tous les 15 jours, avec une solution de triforine ou de propiconazole ("Maladies des rosiers et des plantes ornementales"). Le même produit vous servira à traiter les rosiers contre la maladie des taches noires et l'oïdium. Saupoudrez des granulées anti-limaces (à base de phosphate ferrique) autour des pieds et sur les plus grandes feuilles.



Une campanule à grosses fleurs


Cette campanule (Campanula medium) dresse, en juin-juillet, de belles inflorescences de grosses clochettes violettes, bleues, roses ou blanches...

Haute d'une soixantaine de centimètres, elle est attrayante dans les plates-bandes fleuries (mêlée à des giroflées ou des nigelles de damas) et devant un massif d'arbustes. Ses fleurs étoffent les massifs entre les floraisons printanières et le plein moment des fleurs d'été. Coupées, les hampes florales épanouissent leurs boutons les uns après les autres en des bouquets frais de longue durée. Réservez-lui un coin de massif ensoleillée, dans une bonne terre de jardin. Si elle craint les froids humides, elle résiste remarquablement au calcaire et à la sécheresse. Elle pousse dans les jardins de bord de mer.


Pour obtenir de beaux plants, effectuez le semis ce mois-ci en pleine terre. Cinq à six semaines plus tard, soulevez délicatement un paquet de petites rosettes pour les séparer et replantez-les en les espaçant de 5cm environ, dans un autre carré de votre planche-pépinière. Mettez en place définitive en automne, tous les 30cm. Ensuite, vos campanules seront heureuses d'un léger binage, en avril, qui vous permettra d'incorporer au sol un peu d'engrais complet de type 4-8-6. En région ventée ou pluvieuse, un léger tuteurage est parfois nécessaire (fines tiges de bambou).


Quelle toilette pour le camélia ?


La taille du camélia n'est pas indispensable. Elle se résume à la suppression des fleurs fanées et du bois mort. Utilisez de préférence un sécateur à enclume, avec lequel il est plus facile de couper le bois dur. Profitez-en également pour redonner une silhouette harmonieuse à l'arbuste, si jamais une ou plusieurs branches tendent à la déséquilibrer.

  


Nettoyer les pavots d'Orient


Les pavots d'Orient (Papaver orientale) fleurissent de mai au début de l'été. leur feuillage ne survit pas à la floraison, il se dessèche. Mais la plante n'est pas morte pour autant ! Vivace, elle redémarrera au printemps suivant. En attendant, supprimez le feuillage pour combler le trou formé par cette fanaison précoce. Plantez un népéta, ou une gypsophile, à proximité, qui recouvrira la souche pendant l'été.

Créez du volume

Pour donner du relief à une plate-bande de fleurs basses, placez en son centre une grosse potée garnie d'une plante qui se développe en hauteur : datura, laurier-rose, jeune bananier, fuchsia sur tige.

Enterrez le pot sur un tiers de sa hauteur, pour éviter qu'il ne bascule et limiter les arrosages. En automne, la potée réintégrera la véranda, la serre ou le hall de la maison.

L'ASTUCE


"Raser" l'ibéris


Les ibéris forment des coussins compacts mais étalés, au feuillage persistant d'une belle couleur vert sombre. Au printemps, ce feuillage disparaît titalement sous un tapis de petites fleurs blanches. Les plus hautes variétés atteignent 30cm de hauteur, mais les plus basses ne dépassent pas 10cm. Ce sont des plantes idéales pour les auges, les rocailles, les murets ou les talus, pourvu qu'ils soient exposés au soleil et que la terre, même ingrate et pauvre, soit bien drainée.
En juin, lorsque la floraison se termine, il est préférable de couper... Coupez les inflorescences des ibéris avant que les graines mûres ne tombent au sol ou s'envolent partout dans le jardin.

Une petite cisaille à main permet d'aller plus vite et d'éviter les bosses à la surface de ce tapis dont le feuillage fin et décoratif persiste été comme hiver. Votre coupe peut mordre carrément dans les rameaux feuillés : de nouvelles petites tiges et feuilles se développeront d'ici l'automne, avec même parfois une seconde floraison au mois d'octobre.


Repiquer vos reines-marguerites


Les reines-marguerites, nommés aussi asters de Chine, ont le bon goût de fleurir assez tôt en saison. À cultiver en pots, en fleurs à couper et dans les massifs.

Tout à la fois peu exigeante et solide, la reine-marguerite reste une des fleurs annuelles la plus cultivée pour l'arrière-saison. repiquez en place les plants semés en mars-avril, à 25-30cm de distance les uns des autres. Ces fleurs apprécieront un massif ensoleillé, avec un sol léger, bien drainé, riche en matières organiques. N'oubliez pas que la reine- marguerite supporte bien le repiquage tardif en motte, même si elle est déjà en boutons : c'est un atout pour "boucher des trous" dans les massifs et remplacer des plantes défleuries à l'automne. Gardez quelques pieds de côté à cet effet. Une fragilité : la plante est très sensible à la fusariose qui provoque son flétrissement. Les obtenteurs ne cessent de sélectionner et de proposer des variétés de plus en plus résistantes.. Cependant, si vous avez observé l'an passé des jaunissements et des disparitions parmi vos cultures, n'hésitez pas à changer votre massif de place. Effectuez sur les jeunes plants à repiquer un traitement au méthylthiophanate (Peltar de Fisons ou Gesal, Maladies et pourritures de Clause ou Anti-maladies de Truffaut) et renouvelez la pluvérisation fin juin.


Taillez le lilas


Le lilas est un bel arbuste peu exigeant, puisqu'il supporte le calcaire, le soleil ou la mi-ombre. Tous les ans, il a besoin d'une petite taille estivale pour pouvoir former, durant l'été, de nouveaux bourgeons à fleurs,. Taillez-le le plus rapidement possible après la floraison ; coupez systématiquement les tiges portant des grappes fanées, juste au-dessus d'un départ de feuilles. Profitez-en pour raccourcir les branches mal placées. Essayez de lui conserver une jolie silhouette équilibrée et d'aérer le feuillage.

Supprimez systématiquement les rejets qui apparaisssent autour du pied, car ils affaiblissent inutilement et deviennet vite envahissants.


Nourrissez les géraniums


Qu'ils soient installés en pleine terre au cœur d'un massif ensoleillé ou conservés dans leur pot, les géraniums sont des plantes gourmandes qui prospèrent mieux si elles sont bien nourries. Bâtonnets, liquides ou "perles", les spécialités équilibrées pour les alimenter sont nombreuses et revêtent de multiples formes. Lesquelles choisir ? À chaque jardinier, "son" engrais...

Si vous êtes très "près" de vos plantes, attentionné, prenant plaisir à observer régulièrement leur aspect, leur pousse, si vous restez près d'elles cet été, refusant peut-être même de les confier à quelqu'un, utilisez les engrais liquides. Ils sont en général plus faiblement dosés que les autres. Mais dilués à raison d'un bouchon pour 3 litres d'eau, ils peuvent être utilisés à chaque arrosage. C'est une gâterie que vous prendrez plaisir à apporter à vos plantes, tout en taillant les fleurs fanées et en surveillant les feuilles malades.

Si vous aimez beaucoup les fleurs mais que vous êtes un peu étourdi ou très occupé, optez pour les bâtonnets : piquez-les à 5cm du collet de la plante pour que les éléments diffusent au plus près des racines. Comptez 10 bâtonnets environ pour un mètre carré de massif fleuri, un bâtonnet pour un pot de 20cm de diamètre, deux pour un pot de 30cm (à renouveler tous les deux mois). Arrosages et pluie dissolvent le produit au fur et à mesure.

Si vous n'avez que très peu de temps à consacrer à vos plantes, utilisez des "perles". L'engrais, enrobé dans une petite coque de résine, n'est libéré que lorsque la chaleur et l'humidité de la terre provoquent l'ouverture des pores. cet engrais est bénéfique durant un an, à condition d'être enfoui dans la terre au niveau des racines. Ces perles sont à placer à la plantation, sous les racines. Si les plantes déjà en terre, versez-les au fond des trous pratiqués à l'aide d'un plantoir. On utilise 80g (4 bouchons) par m² de terre, 20g (un bouchon) par pot, 40g (3 bouchons) pour un grand bac.

Malgré des formules très différentes selon les marques, les engrais du commerce dit "engrais-géraniums" sont tout à fait équilibré pour nourrir au mieux toutes les autres plantes à fleurs du jardin, qu'elles soient vivaces ou annuelles.


Tailler

Nettoyez une haie de laurier palme


N'employez pas de taille-haie à moteur pour le laurier palme (Prunus laurocerasus). Les lames déchiquettent les grandes feuilles persistantes qui jaunisssent ensuite au niveau de la plaie. Préférez un sécateur ou un ébrancheur à deux mains et coupez les rameaux trop longs un par un, en plongeant l'outil au moins de 10cm à l'intérieur de la haie pour rendre la coupe invisble. Contrairement à ce que l'on croît, cela va aussi vite qu'avec un taille-haie car on retire beaucoup de végétation à chaque coup de sécateur.


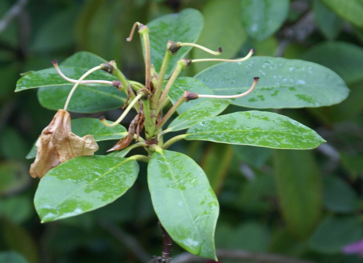
Rhododendrons

Supprimez les fleurs fanées


Évitez-leur cette dépense d'énergie, car il leur faut consacrer beaucoup de vitalité à la fabrication des fruits et des graines.


Si vous éliminez les inflorescences défleuries, toute cette force va se porter dans l'élaboration d'un beau feuillage et surtout dans les futurs bourgeons à fleurs. L'opération demande de la patience et un peu de doigté, car il ne faut surtout pas supprimer par un geste maladroit ou un peu trop rapide les boutons en dormance situés à la base des inflorescences.

Complétez cette taille par quelques arrosages avec de l'eau si possible non calcaire (eau de pluie) éven-tuellement additionnée d'un peu de produit antichlorose qui fait reverdir les feuilles jaunissantes. Apportez de l'engrais comme "Engrais hortensias, azalées, camélias, rhododendrons" (Fertiligène, bayer, Vilmorin...), riche en potasse et magnésium. Vous trouverez ces engrais sous forme d'un liquide à diluer, à raison de 7,5ml de produit environ pour 1 litre d'eau, ou sous forme de mini-granulés à épandre au pied des rhododendrons (50mg environ) par arbuste. Faites alors suivre d'un arrosage copieux d'eau douce pour dissoudre et entraîner les éléments nutritifs au niveau des racines.


Ôtez les gourmands

des plantes panachées


Fusains, cornouillers et autres arbustes à feuillage panaché ont parfois du mal à conserver leur décor : soudain apparaît une branche aux feuilles unifor-mément vertes. Supprimez-la au plus vite, dès son origine ou à sont point d'insertion sur une branche principale. Si on la laisse se développer, il y a des chances pour qu'elle prenne le dessus sur les ra-meaux panachés. Les professionnels disent que la plante "retourne au type" : elle reprend ses couleurs originelles, avant la découverte de sa panachure.

Plantez du soleil


Qui ne connait pas le tournesol, ce soleil annuel que l'on sème en avril ?

Pour les retardaires ou bien pour ceux qui cherchent des plantes pérennes ou plus originales. Il est encore temps de planter des soleils vivaces tels que Hélianthus 'Lemon Queen' ou encore H. salicifolius à longues feuilles de saules retombantes. Plantez-les évidemment en plein soleil, dans une terre profondément ameublie et enrichie de compost. Arrosez régulière ment et n'oubliez pas de poser des pièges à leur pied afin de détourner les limaces.

Et les fougères ?


Généralement faciles à vivre, les fougères sont parfois oubliées car elles ne fleurissent pas !

C’est regrettable, car elles sont irremplaçables à l’ombre et dans les mauvaises terres. Sans oublier que leurs feuilles (frondes) sont élégantes, surtout lorsqu’elles se déploient au printemps !

Vous trouverez aussi toute une palette de couleurs (vert, gris, pourpre…).

Les plus dociles au jardin : Matteucia struthiopteris (l’imposante fougère plume d’autruche), Athyrium filix-femina (fougère femelle) et Dryopteris filix-mas (fougère mâle).

Plantez-les maintenant, sans enterrer le cœur de la souche car il risque de pourrir.

Planter

Une digitale idéale pour la terre pauvre


Les digitales apprécient les terres fertiles et humifères. Si votre jardin ne répond pas à ces critères, choisissez la forme blanche de la digitale pourpre, Digitalis purpurea ‘Albiflora’, qui pousse et fleurit dans les sols les plus ingrats et les plus pauvres, à l’ombre comme au soleil, au sec comme au frais ! Un seul pied suffit pour produire assez de graines pour ensemencer tout le jardin…

Très rustique cette plante de 1,20 m de hauteur, fleurissent en juin et juillet, redoute seulement le calcaire.

Digitalis purpurea ‘Albiflora’

Matteucia struthiopteris


  40

C'est, en litres, la quantité minimale d'eau à apporter chaque semaine à un arbre au cours de l'été qui suit sa plantation.

Il est toujours préférable de le faire en une seule fois plutôt que de répartir ce volume.

L'eau descend ainsi davantage en profondeur, obligeant les racines à s'enfoncer plus loin donc à mieux pouvoir résister aux futures périodes de sécheresse...

Entretenir

Comment venir à bout d'une souche ?


À défaut de pouvoir la retirer avec une pelle mécanique en raison des dégats que l'extraction pourrait occasionner sur les racines d'autres végétaux, il faut dévitaliser la souche le plus vite possible après l'abattage, quand elle est encore en sève.

Coupez-la au près du sol. Avec une perceuse, faites des trous de 1 à 2 cm de diamètre tout autour de la coupe, à 5 cm du bord. Aspirez la sciure, puis remplissez les trous avec un produit pour dessoucher.

comptez un an pour un résultat optimal.




PAILLEZ
au pied des arbustes et des arbres récemment plantés pour empêcher l'herbe d'y pousser et limiter l'évapora-tion estivale.

TAILLEZ
et supprimez les inflorescences fanées des lilas et des rosiers, ainsi que les rejets de rosiers, d'ailhantes, de prunus, de sumacs.

Taillez les haies de persistants : troènes, lauriers, conifères.

PALISSEZ
au fur et à mesure de leur croissance, les branches des rosiers grimpant et des clématites.

ARROSEZ
et apportez de l'engrais liquide aux dalhias, glaïeuls, cannas...

PENSEZ
à tondre régulièrement la pelouse et traitez les mauvaises herbes du gazon.

COUPEZ
au fur et à mesure les fleurs fanées des iris, rosiers et pivoines.

SEMEZ
les bisannuelles pour faire vos plants de pensées, myosotis, giroflées ravenelles, lunaires, pâquerettes.

 

RETOUR ACCUEIL

SERRES  CHÂSSIS

MONTAGNE

JARDIN BIO

PELOUSE ET ROCAILLE

TABLE

LITTORAL OUEST

MIDI

FLEURS ET ARBUSTES

BALCONS ET TERRASSES

POTAGER

VERGER

AQUATIQUE